Lukratívny stavebný pozemok 826 m2 - Potočná v
Pridať do obľúbených
Cena:
52 100,00 €
Kontakt alebo Telefón
Ivka Kamenská
0905 825 595 alebo 0903 246 649
0905 825 595 alebo 0903 246 649
pridané
22.04.2026
Pridal inzerát (ty):
JMB REALITY (16)
Predávajúci
JMB REALITY s.r.o.
Mesto
Ľubietová
Adresa
ulica Nová Zábava 568/5
Telefón
0903246649
E-mail
jmb.asistentka@gmail.com
Popis
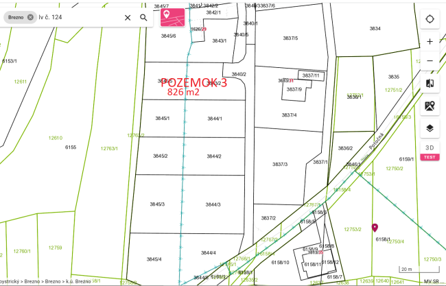
ZNÍŽENÁ CENA 63,- Eur/m2! Ponúkame exkluzívne na predaj lukratívny slnečný pozemok s rozlohou 826 m2 na stavbu rodinného domu, obľúbená Potočná ulica v Brezne, časť Starý Mazorník. Vedie k nemu mestská asfaltová cesta. Na hranici pozemku je nová elektrická skrinka, v blízkosti je kanalizačná prípojka s možnosťou napojenia a optický kábel. Vodu je potrebné v tomto čase riešiť navŕtaním studne. Mesto rieši verejný vodovod. Podľa ÚPN je možné postaviť rodinný dom s max. dvomi nadzemnými podlažiami. Pozemok s výhľadom na Nízke Tatry sa nachádza v poslednej intravilánovej časti, preto zaručuje absolútne súkromie a je ideálny pre tých, ktorí hľadajú tiché a pokojné prostredie. V blízkosti je kompletná občianska vybavenosť. Doporučujem vidieť!
Do kúpnej ceny je zahrnutá aj odmena realitnej kancelárie.
Nehnuteľnosť je vedená pod evidenčným číslom: 3893
Všetky podrobné informácie ako aj obhliadku nehnuteľnosti zabezpečuje Ivka Kamenská.
Kontakt: 0905 825 595 alebo 0903 246 649
Do kúpnej ceny je zahrnutá aj odmena realitnej kancelárie.
Nehnuteľnosť je vedená pod evidenčným číslom: 3893
Všetky podrobné informácie ako aj obhliadku nehnuteľnosti zabezpečuje Ivka Kamenská.
Kontakt: 0905 825 595 alebo 0903 246 649
Špecifické detaily
Inzerent:
Súkromný
Druh pozemku:
Pozemky pre rodinné domy
Plocha pozemku (m²):
826
ID ponuky:
3893
Mesto
Brezno, Banskobystrický kraj, Slovensko




Komentáre